加賀のいきもの大集合!
今回は、鴨池観察館でレンジャーをされている、いきもの大好きな櫻井佳明さんに自然観察が楽しめるスポットを丸ごと紹介していただきます。

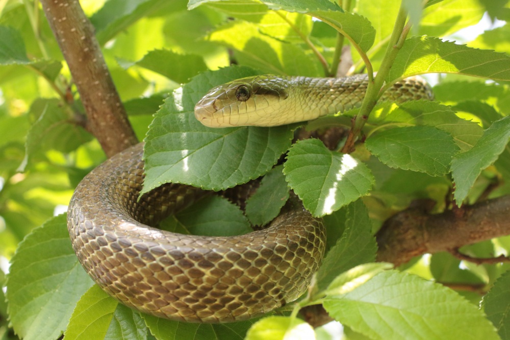
①加賀市鴨池観察館
加賀市の海際にある片野鴨池は、西日本最大級のガンカモの越冬地。天然記念物のマガンやヒシクイ、絶滅危惧種のトモエガモが見られます。西向きの観察施設なので、午前中の来館をお勧めします。順光で見るカモ類のオスはとても美しいです。夏季にカモたちはロシアにわたってしまいますが、両生類や爬虫類、昆虫など様々な生き物が顔を見せます。生き物に詳しいレンジャーが一緒に観察しながら解説するので、気軽に楽しめます。
- 加賀市鴨池観察館
― 夏
― 冬
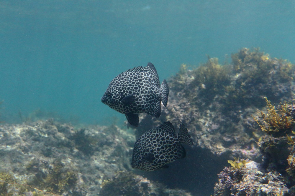
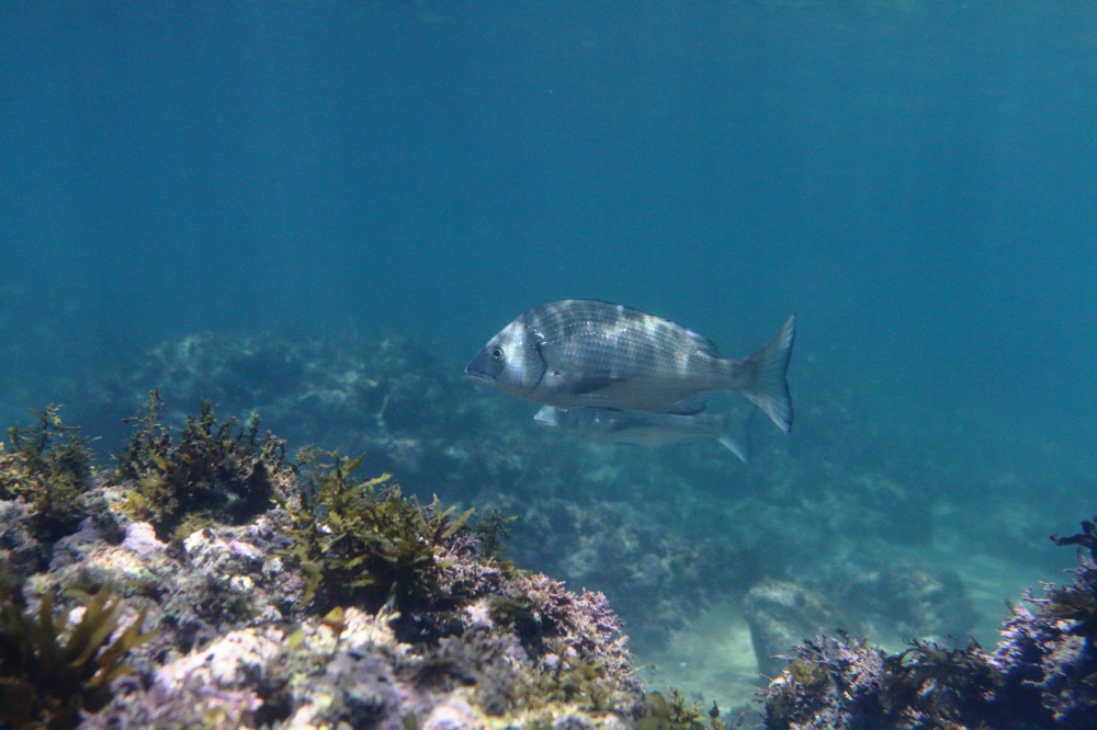
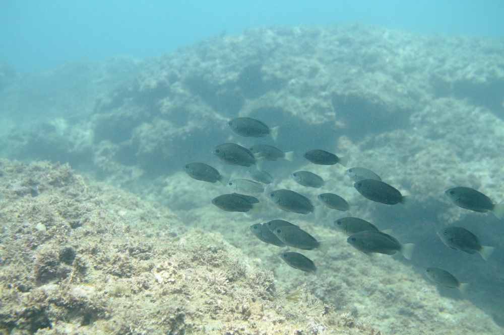
②片野海岸
厳しい荒波が有名な日本海ですが、夏季には波が穏やかな日も多く、美しい海が広がります。片野海岸の岩礁帯ではたくさんの生き物が見られ、特に9月後半から10月前半がおすすめです。気温は低くなってきますが、まだ水温は20度を超えており、この時期になるとソラスズメダイやオヤビッチャなど南方から流れてくる魚たちがよく観察できるようになります。
ただし、海水浴場の囲いからは離れないと見えないので、安全には十分注意してください。
- 片野海岸
― ウミウシ
― 夏後半に見られるようになる魚
― 通年(泳)
― 通年(底)
― 群れ
③橋立漁港
カニの水揚げで有名な橋立漁港。コンクリートで固められた岸は一軒生き物が少ないように思えますが、こういった漁港には実は多くの生き物が暮らしています。船が着岸しやすい波の穏やかな港内は、稚魚など小さな生き物にとっては流されにくく暮らしやすい場所となっているのです。
岸壁からのぞくと、小さな稚魚が水面に浮いていたり、海藻についていたり、たくさんの生き物に出会えます。
- 橋立漁港
④橋立自然公園
橋立漁港からほど近い場所にある自然公園で、いくつかある散策路を歩いて生き物を探せます。特に夏にはキビタキやサンショウクイといった夏鳥たちが訪れ、ゆっくり待っていれば比較的姿も見やすいです。短期間ですがヤイロチョウやコウライウグイスといったレアな鳥が記録されたこともあります。
ただ、夏のシーズンは鳥たちには大事な繁殖の時期でもあります。近づきすぎずにそっと見守ってあげましょう。
- 橋立自然公園
⑤石川県県民の森
加賀市の街中を離れた山の中にある公園です。渓流沿いに歩くとミソサザイやカワガラスといった低地とはまた違った鳥たちと出会えます。鳥と間違えられるほど美しい声の渓流のカエル、カジカガエルもよく鳴き、音を聞きながら散策しているだけで幸せな気分になります。
県民の森からは少し外れてしまいますが、周囲の森にはヒメボタルが多数生息しており、ゲンジボタルとは違いピカピカと点滅する様子が見られます。ただし、ヒメボタルは期間も短い上に光るピークは深夜、車のライトで隠れてしまうので相当やる気がある人しか見つけられないかもしれません。
- 県民の森
⑥刈安山
夏鳥のタカであるサシバやハチクマは山に起こる上昇気流に乗って空高く舞い上がり、滑空をしながら南へ向けて移動をしていきます。数多くのタカが旋回しながら上昇する様子はタカ柱とよばれ、有名な白樺峠や伊良湖岬はバードウォッチャーなら一度は訪れてみたい場所となっています。
福井県との県境にある刈安山は、規模は小さいですがタカの渡りが見られます。チャンスは9月の後半の晴れた午前中です。
外れるとタカは見られませんが、アサギマダラの渡りや、アマツバメ類が近くを飛んでくれることもあります。
- 刈安山
⑦水田地帯
加賀市内に広がる水田地帯には多くの鳥類がやってきます。
通勤の時に周囲をちょっと気にするだけでもタカの仲間のチュウヒやノスリ、ハヤブサの仲間のチョウゲンボウなどが目に入るようになります。
しかし、たんぼは魅力的な生き物の生息地である以前に農家の方の大事な仕事の場です。農道の補修などに思いのほか労力とお金がかかります。ここではあえておすすめの場所などは紹介しませんが、加賀市の水田はどこもかしこも素晴らしい環境となっています。
これも農家の方の努力のおかげです。鳥にも人にも迷惑にならないように観察しましょう。
他にも加賀市には生き物を見られるスポットがたくさんあります。わざわざどこかへ赴かなくても、今の生活から少し気にするだけでたくさんの生き物たちに出会えるのです。
自然は、魅力に気が付かれないと知らないうちに無くなってしまうことがあります。
皆さんが少し意識をして気づくだけで、このたくさんの生き物が生活する加賀市はより長く、美しく守られていきます。
自然を楽しむことで、一緒に自然を守っていきましょう。
執筆・撮影
<プロフィール>
櫻井佳明
愛知県名古屋市出身。帝京科学大学を卒業後、加賀市鴨池観察館でレンジャーとして勤務。
観察館で働き始めてから13年。仕事の日も休みの日も毎日のように自然を見ていますが、見ても見ても見つくせずどんどんはまり続けています。一人では一生かけても見つくせそうにないので、たくさんの人が自然を好きになって、見られた面白いことをみんなで共有できると嬉しいです。











































































































